Hurricane Beryl Live Tracker: Google Maps Guide

N.Ravtech 122 views
Hurricane Beryl Live Tracker: Google Maps Guide

Hurricane Beryl Live Tracker: Your Guide to Tracking with Google Maps

Hey everyone, let’s dive into how you can easily track Hurricane Beryl using Google Maps! Knowing the storm’s path, strength, and potential impact is crucial for staying safe and informed. In this guide, we’ll break down how to use Google Maps as your live hurricane tracker, ensuring you have the latest information at your fingertips. From understanding the basics to advanced tracking tips, we’ve got you covered. So, grab a coffee, and let’s get started. We’ll make sure you’re well-equipped to monitor Hurricane Beryl and stay ahead of the storm, like a pro!

Understanding Hurricane Beryl and the Importance of Tracking

Before we jump into the Google Maps specifics, let’s quickly recap what Hurricane Beryl is all about and why tracking it is so critical. Hurricanes are massive, powerful storms, and Beryl, like any hurricane, can be incredibly destructive. They bring high winds, torrential rain, and often lead to flooding and other dangerous conditions. That’s why having access to live tracking is super important. It lets you monitor the storm’s current location, its predicted path, wind speeds, and potential impact zones. Knowing this information helps you make informed decisions, whether it’s evacuating, stocking up on supplies, or simply staying indoors. Regular updates from reliable sources, like Google Maps, can be a lifesaver. Being prepared is the name of the game, and accurate tracking is your first line of defense!

One of the main reasons to track a hurricane like Beryl is to stay safe and make plans. Hurricane tracking provides essential information, including the storm’s current location and its predicted path. This allows people to make informed decisions about whether to evacuate or stay put. Furthermore, the information available through hurricane trackers gives people insights into the hurricane’s intensity and potential impacts, such as wind speed, rainfall, and storm surge. This information is crucial for local authorities and emergency responders to prepare and respond. Accurate tracking can save lives by providing people with the information they need to protect themselves and their property. By using tools like Google Maps for live tracking, individuals can access up-to-the-minute data to stay informed and safe during the storm.

Tracking a hurricane involves the use of sophisticated technology to gather information. This information includes satellite imagery, weather radar data, and data from weather buoys and aircraft. Various organizations, such as the National Hurricane Center (NHC) and the World Meteorological Organization (WMO), gather and analyze this data to produce accurate forecasts. The information obtained is used to generate the hurricane’s path, intensity, and potential impacts. This information is then distributed to the public through various channels, including websites, apps, and news outlets, like Google Maps. Regular updates on a hurricane’s progress are essential for providing timely warnings and ensuring public safety. The ability to monitor the progress of a hurricane in real time gives people the opportunity to make informed decisions based on the most current data available.

Setting Up Your Google Maps for Hurricane Beryl Tracking

Alright, let’s get your Google Maps ready to track Hurricane Beryl . It’s easier than you might think! First things first, make sure you have the Google Maps app installed on your phone or have it open in your web browser. Then, you’ll need to enable the weather layer. This layer will show you the storm’s location, intensity, and forecast path. To do this, simply click on the layers icon (it looks like stacked squares) in the top right corner of the screen. In the menu that appears, select ‘Weather’. If the hurricane isn’t immediately visible, try zooming in on the area where the storm is predicted.

Another option is to search for ‘Hurricane Beryl’ or ‘Hurricane [Year]’ in the search bar. Google Maps will often highlight the storm directly, providing you with real-time updates and important details. Keep an eye out for any official alerts or warnings that pop up. Google Maps often integrates information from trusted sources like the National Hurricane Center (NHC) to keep you informed. It’s also worth checking the local news channels and weather websites, especially during active hurricane seasons. While Google Maps is a great starting point, cross-referencing information ensures you have the most comprehensive and up-to-date information.

To ensure optimal tracking, it is important to regularly update the application, as outdated versions may not support real-time data or the latest features. Checking your internet connection is equally important, as this affects the data’s retrieval speed. Additionally, familiarizing yourself with the different map options, such as satellite view or traffic view, can provide additional information. The combination of these steps provides the best real-time data, which is essential during a hurricane like Beryl. Furthermore, saving important locations, such as evacuation routes, can streamline planning and response during a hurricane. By following these steps and regularly monitoring Google Maps, you’ll be well-prepared to track and respond to Hurricane Beryl effectively. This detailed preparation ensures that you receive the most current and accurate information available.

Essential Google Maps Features for Hurricane Tracking

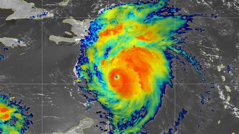
Google Maps offers several features that are super useful when tracking Hurricane Beryl . The weather layer is your primary tool. It displays the hurricane’s location, its projected path, and the intensity levels. You’ll see different colors representing the wind speeds and potential storm surge zones. Zooming in and out allows you to get a clearer picture of the storm’s size and trajectory. Another handy feature is the traffic layer. While this isn’t directly related to the hurricane, it helps you assess road conditions and potential evacuation routes. During a hurricane, roads can become blocked due to flooding, fallen trees, or debris. The traffic layer provides real-time information, helping you avoid hazardous areas. The satellite view is another must-use feature. It provides a visual representation of the storm, allowing you to see the clouds and the overall structure of the hurricane.

Google Maps is packed with features designed to provide important information. The weather layer will show the hurricane’s exact location, projected path, and intensity levels. By using different colors, the weather layer highlights wind speeds and potential storm surge zones. The traffic layer is a great tool for assessing road conditions, especially when planning evacuation routes. Traffic data is updated in real time, so people can avoid dangerous areas or find alternate routes. The satellite view provides a visual representation of the hurricane. People can see the structure of the storm, cloud patterns, and potential impacts. This helps to provide an understanding of the hurricane’s size, intensity, and overall structure. Google Maps also integrates local news and alerts. This ensures that users receive timely warnings and updates from trusted sources. Being able to access and interpret these features is vital for safe navigation.

Advanced Tips and Tricks for Accurate Tracking

Want to take your Hurricane Beryl tracking to the next level? Here are some advanced tips and tricks. Firstly, regularly check the official sources, such as the National Hurricane Center (NHC). Google Maps pulls its data from these sources, but it’s always a good idea to confirm information directly. Compare the data to ensure accuracy. Pay close attention to the forecast cone. This cone represents the predicted path of the hurricane, but remember that the actual path can deviate. The further out the forecast, the wider the cone becomes. Consider alternative map sources. While Google Maps is great, it’s beneficial to cross-reference with other mapping services or weather apps. Different sources might offer slightly different insights or data visualizations.

Another important tip is to understand the terminology used in hurricane tracking. Terms such as ‘cone of uncertainty,’ ‘storm surge,’ and ‘wind speed’ are vital for interpreting data. Familiarizing yourself with these terms will help you analyze the information you get from Google Maps. Set up alerts and notifications. Most weather apps and Google Maps allow you to set up alerts. This way, you’ll receive immediate notifications about any changes in the storm’s path or intensity. Using advanced filters on Google Maps will also allow you to receive specific data. When the hurricane season is active, using these tips will help you receive all of the essential information, and you’ll be able to prepare for the hurricane accordingly.

Staying Safe During Hurricane Beryl: Beyond Tracking

Tracking Hurricane Beryl is just one part of the preparation process. It’s equally important to know how to stay safe during the storm. First and foremost, have a disaster plan. Know your evacuation routes, the location of shelters, and how to contact family members. Prepare an emergency kit with essential supplies like water, food, first aid supplies, and medications. Secure your home by boarding up windows and reinforcing doors. Bring loose objects indoors and trim any overhanging trees or branches. Stay informed by monitoring official alerts and warnings. Follow instructions from local authorities and be prepared to evacuate if necessary.

Once the hurricane has passed, be cautious when returning home, since hazards such as downed power lines or structural damage may exist. After the storm has passed, it is essential to be cautious and to assess the situation before returning to your property. Check for downed power lines, damaged structures, and any other potential hazards. If there is damage, contact your insurance company and begin the claims process. Staying safe during a hurricane requires comprehensive preparation. By combining tracking with essential safety measures, people can significantly reduce risks and protect themselves and their property. This thorough preparation ensures that people are ready and able to respond to the potential impact of Hurricane Beryl.

Conclusion: Your Go-To Guide for Hurricane Tracking

And there you have it, folks! Your complete guide to tracking Hurricane Beryl live with Google Maps. By following these steps and tips, you’ll be well-prepared to monitor the storm, understand its potential impact, and take the necessary safety precautions. Remember, staying informed is key. Check your app regularly, pay attention to the official updates, and be proactive in your preparedness. Stay safe, stay informed, and let’s weather the storm together. This detailed guide ensures you are equipped with the knowledge and tools to effectively monitor and respond to Hurricane Beryl.