Hurricane Beryl Tracker: Real-Time NOAA Map Updates

N.Ravtech 127 views
Hurricane Beryl Tracker: Real-Time NOAA Map Updates

Hurricane Beryl Tracker: Real-Time NOAA Map Updates

Hey guys! Ever wondered how to keep tabs on a hurricane like Beryl? Staying informed and prepared is super important, and one of the best ways to do that is by using the NOAA (National Oceanic and Atmospheric Administration) resources. This article will guide you through everything you need to know about tracking Hurricane Beryl with real-time NOAA map updates. We’ll cover where to find the most accurate information, how to interpret those sometimes-confusing maps, and some extra tips to ensure you’re always in the know. Let’s dive in!

Understanding Hurricane Beryl

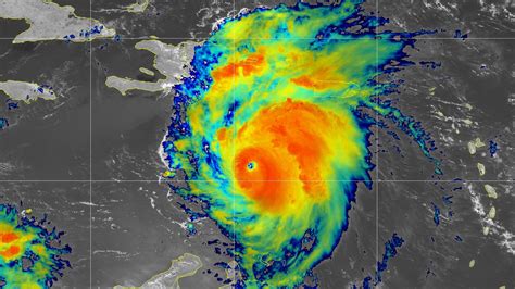
Before we jump into tracking, let’s get a grip on what Hurricane Beryl actually is . Hurricane Beryl was a tropical cyclone that, like other hurricanes, formed over warm ocean waters. These storms are characterized by intense low-pressure centers, strong winds, and heavy rainfall. The Saffir-Simpson Hurricane Wind Scale classifies hurricanes based on their sustained wind speeds, ranging from Category 1 to Category 5. Understanding the category helps gauge the potential damage a hurricane can inflict.

Beryl itself had a unique journey. It initially formed as a tropical storm and, at one point, even reached hurricane status. However, it weakened as it encountered less favorable atmospheric conditions. Despite weakening, it still posed a threat with potential for heavy rain and gusty winds, making it crucial to monitor its path and intensity. When we talk about tracking hurricanes, we’re essentially following its movement, predicting where it might go, and assessing its strength at different points in time. This information helps authorities issue warnings, allowing people in affected areas to prepare and stay safe. Remember, hurricanes can change course and intensity rapidly, so continuous monitoring is key.

Why NOAA is Your Go-To Source

When it comes to hurricane tracking, NOAA is the gold standard. NOAA, or the National Oceanic and Atmospheric Administration, is a scientific agency within the U.S. Department of Commerce that focuses on the conditions of the oceans and the atmosphere. They provide a wealth of information, including real-time tracking maps, satellite imagery, and detailed forecasts. Their expertise and resources are unparalleled, making them the most reliable source for hurricane information. NOAA uses a variety of tools and technologies to monitor hurricanes. Satellites provide a bird’s-eye view of the storm, tracking its size, shape, and movement. Hurricane-hunter aircraft fly directly into the storm, collecting valuable data about wind speeds, pressure, and temperature. This data is then fed into sophisticated computer models to predict the hurricane’s future path and intensity. These models are constantly refined and updated as new data becomes available, making NOAA’s forecasts increasingly accurate.

The NOAA website , specifically the National Hurricane Center (NHC) section, is your primary hub for all things hurricane-related. Here, you’ll find up-to-date advisories, forecast maps, and discussions written by expert meteorologists. These discussions provide insights into the factors influencing the hurricane’s behavior and the uncertainties in the forecast. NOAA also collaborates with other agencies, such as the Federal Emergency Management Agency (FEMA), to ensure that communities have the resources they need to prepare for and respond to hurricanes. By using NOAA’s resources, you’re getting the most accurate and timely information available, which is essential for making informed decisions to protect yourself and your loved ones.

How to Use the NOAA Hurricane Tracker

Okay, let’s get practical. Using the NOAA hurricane tracker might seem a bit daunting at first, but trust me, it’s manageable once you know what to look for. First, head over to the National Hurricane Center (NHC) website. You’ll find a map displaying the current location of any active tropical cyclones, including Hurricane Beryl, if it’s active. The map usually shows the storm’s current position, predicted path, and a cone of uncertainty. This cone represents the range of possible tracks the hurricane could take.

Interpreting the NOAA Map involves understanding a few key elements. The solid line indicates the most likely path of the storm’s center, while the cone of uncertainty widens as the forecast extends further into the future. This widening reflects the increasing uncertainty in predicting the storm’s exact path over time. The map also displays symbols indicating the storm’s intensity, such as tropical storm or hurricane, and its category if it’s a hurricane. Color-coded watches and warnings are also shown on the map. A hurricane watch means that hurricane conditions are possible in the specified area, usually within 48 hours. A hurricane warning means that hurricane conditions are expected in the specified area, usually within 36 hours. Pay close attention to these watches and warnings, as they indicate the level of threat to your location.

Decoding the Data: Key Elements to Watch For

When you’re glued to the NOAA map , pay extra attention to a few critical details. First off, check the storm’s intensity – is it a tropical storm or a hurricane, and what category is it? This will give you an idea of the potential wind damage. Next, look at the predicted path. Even if you’re not directly in the path, remember that hurricanes can be unpredictable, and their effects can extend far beyond the center.

The cone of uncertainty is another crucial element. It shows the range of possible tracks the storm could take. If your location falls within this cone, you need to be prepared. Also, pay attention to the timing of the storm’s arrival. This will help you plan when to take necessary precautions. Besides the map, NOAA provides detailed discussions written by meteorologists. These discussions offer insights into the factors influencing the storm’s behavior and the uncertainties in the forecast. They can help you understand the bigger picture and make more informed decisions. Remember to check the map and discussions regularly, as the forecast can change rapidly, especially as new data becomes available. By staying informed and paying attention to these key elements, you’ll be better prepared to weather the storm.

Additional Resources for Hurricane Tracking

Beyond the NOAA website , there are other fantastic resources you can tap into for tracking Hurricane Beryl. Many weather apps, like The Weather Channel and AccuWeather, pull data directly from NOAA and provide user-friendly interfaces for tracking storms. These apps often offer push notifications, alerting you to changes in the storm’s path or intensity. Local news channels are another great source of information. They often have meteorologists who can provide expert analysis and translate the technical data into easy-to-understand terms.

Social media can also be a valuable tool, but be cautious about the information you find there. Stick to official sources, such as NOAA and local news outlets, and avoid spreading unverified rumors or misinformation. FEMA (Federal Emergency Management Agency) also offers resources and information on hurricane preparedness. Their website has valuable tips on how to create a disaster plan, assemble a supply kit, and stay safe during a hurricane. Remember, being prepared is the best defense against a hurricane. Take the time to gather information from reliable sources, create a plan, and ensure you have the supplies you need to weather the storm. By doing so, you can protect yourself, your loved ones, and your property.

Tips for Staying Safe During Hurricane Season

Alright, let’s switch gears to staying safe. Staying safe during hurricane season requires a proactive approach. Start by creating a hurricane preparedness plan. This should include identifying evacuation routes, designating a safe room in your home, and establishing a communication plan with your family. Assemble a disaster supply kit that includes essentials like water, non-perishable food, medications, a first-aid kit, a flashlight, and a battery-powered radio.

During a hurricane , stay indoors and away from windows. If you live in an area prone to flooding, consider evacuating to higher ground. Never drive through floodwaters, as they can be deeper and more dangerous than they appear. Stay informed by monitoring NOAA updates and local news reports. After the storm passes, be cautious of hazards such as downed power lines and debris. Only return to your home when authorities have deemed it safe to do so. Remember, hurricanes can be devastating, but with proper planning and preparation, you can minimize the risks and stay safe. Don’t wait until the last minute to prepare. Take action now to protect yourself and your loved ones during hurricane season.

Conclusion

Keeping an eye on Hurricane Beryl or any tropical cyclone using NOAA’s resources is super important for staying safe and informed. By understanding how to use the NOAA hurricane tracker, decoding the data on the maps, and tapping into other reliable resources, you can make sure you’re always in the loop. Remember, being prepared is your best defense during hurricane season. So, stay informed, stay safe, and look out for each other! You got this!